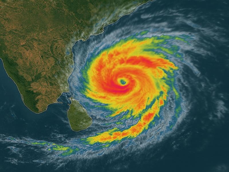
Chennai: The well-marked low-pressure area over the southeast Bay of Bengal intensified into a depression on Saturday and is expected to develop into a cyclonic storm named ‘Montha’ by Monday (October 27), according to the India Meteorological Department (IMD).
In its latest bulletin, the IMD said the system, currently centred around 990 km east-southeast of Chennai, is moving west-northwestwards and is likely to intensify into a deep depression by Sunday (October 26).
It is then forecast to become a cyclonic storm over the southwest and adjoining west-central Bay of Bengal by early Monday morning. Once formed, Cyclone Montha is projected to move northwestwards towards the Andhra Pradesh coast, with a possible landfall between Machilipatnam and Visakhapatnam early next week.
The IMD has warned of heavy rain, strong winds, and rough sea conditions along the Andhra coast during the period of landfall. As a precautionary measure, storm warning cage No. 1 has been hoisted at nine ports in Tamil Nadu and Puducherry, signalling that squally weather may affect coastal waters.
Fishermen have been advised not to venture into the sea, and coastal residents have been urged to stay alert as the system intensifies.
Although the primary impact zone lies further north along the Andhra coast, Tamil Nadu is expected to experience light to moderate rainfall in several areas.
The Regional Meteorological Centre (RMC), Chennai, has forecast isolated light rain in Chennai, Tiruvallur, Chengalpattu, and Kanchipuram districts over the weekend.
Meanwhile, as the northeast monsoon gains momentum, moderate showers accompanied by thunder and lightning are likely today (October 25) in Kanniyakumari, Tirunelveli, Thoothukudi, and Tenkasi districts.
Light rain is also expected in the KTCC region (Kancheepuram, Tiruvallur, Chennai, and Chengalpattu) during the same period.
Over the past 24 hours, scattered rainfall was recorded across Tamil Nadu, with Tirunelveli and Kanniyakumari districts receiving the highest rainfall amounts.
Weather officials have cautioned that rainfall intensity may gradually increase over coastal and adjoining districts as the cyclonic system develops further over the Bay of Bengal.
--IANS
